Міравіс® — це інноваційний фунгіцид, до складу якого входить унікальна молекула АДЕПІДИН™ (200 г/л), що не має аналогів на ринку. АДЕПІДИН™ — молекула з нової групи в класі карбоксамідів (SDHI) нині стала доступна на ринку України.
SDHI — це новітній клас фунгіцидів (інгібіторів сукцінатдегідрогенази), що відповідно до FRAC належать до групи № 7. Препарати цього класу фунгіцидів почали з'являтися на ринку в кінці 1960-х років. Однак більш сучасні SDHI, третього покоління, стали доступними тільки з 2003 року з випуском боскаліду (пентіопіраду). Приклади фунгіцидів FRAC 7, що використовуються для боротьби з важливими захворюваннями рослин, включають: флутоланіл (1986 рік випуску), боскалід (2003 рік випуску), пентопірад (2008 рік випуску), флюксапіроксад (2011 рік випуску), флуопірам (2013 рік випуску).
Фунгіциди в групі FRAC 7 пригнічують мітохондріальний комплекс дихання грибів шляхом зв'язування і блокування процесу перенесення електронів від сукцинату до убіхінону. Фунгіциди SDHI діють так само, як фунгіциди FRAC 11, але в іншій чутливій області мітохондріального дихання клітин патогену. Хоча всі фунгіциди SDHI мають однакову цільову область впливу, чутливість патогенів до різних фунгіцидів у групі FRAC відрізняється.
Останнім досягненням науки з 2016 року стала розробка молекули АДЕПІДИН™.
АДЕПІДИН™ вирізняється винятковими проникаючими властивостями на поверхні рослин та високим біохімічним потенціалом.
Після нанесення молекула швидко потрапляє в епікутикулярний шар воску, а потім переміщується в тканину листа по ксилемі.
Незважаючи на те, що ксилемний рух АДЕПІДИН™ обмежений, молекула має значну біохімічну ефективність, унаслідок чого здатна забезпечити контроль над захворюванням далеко від зони проникнення молекули.
Швидке проникнення в тканини рослин обумовлено високою ліпофільною здатністю молекули АДЕПІДИН™. Це забезпечує препаратам на основі АДЕПІДИН™ відмінну стійкість до змивання дощем. Акропетальний рух АДЕПІДИН™ по ксилемі дуже повільний, що дозволяє довгий час підтримувати концентрацію діючої речовини в тканинах рослини. Такий високий біохімічний потенціал забезпечує триваліший захисний ефект у контролі патогенів. Польові дослідження з використанням АДЕПІДИН™ показали, що навіть з нормою всього 15 мг а. і./га забезпечується краща біологічна ефективність порівняно з іншими SDHI продуктами. 40 % спор альтернарії на листках томата взагалі втратили життєздатність.
AДЕПІДИН™ має більш високу активність in vitro, ніж інші SDHI.
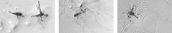
Фізіологічна область дії: зростання зародкової трубки Alternaria solani у порівнянні з конкурентами.

Практичними рекомендаціями щодо уникнення резистентності можуть бути поєднання SDHI з іншими активними речовинами, а також чергування SDHI з дотриманням інтервалів і кратності.
Застосування Міравіс®

Фунгіцид Міравіс® має чимало переваг:
• Найвищий біохімічний потенціал серед класу SDHI продуктів
• Містить унікальний карбоксамід із хімічної групи N-метокси-піразол-карбоксамідів
• Новий унікальний механізм дії
• Тривалий захист від ключових хвороб
• Трансламінарний ефект із локально-системною дією, що забезпечує пролонгований захист
• Основа антирезистентної стратегії — унікальний партнер для бакових сумішей
• Неперевершена стійкість до змивання опадами
• Ефективний у складних погодних умовах (до +35 °С) та за вологості понад 80 %
• Не викликає фітотоксичності
Препарат можна змішувати з іншими загальновживаними пестицидами на відповідній культурі. Сумісний із більшістю фунгіцидів та інсектицидів. У кожному конкретному випадку слід проводити тести на сумісність.
Температура застосування: оптимальна температура застосування — +12–24 °С.
Рекомендована норма витрати робочого розчину: 800–1200 л/га (сади), 200–400 (овочі відкритого ґрунту), 400–800 (овочі закритого ґрунту)
Рекомендується чергувати використання Міравіс® з фунгіцидами інших хімічних груп (Циделі™ Топ, Скор®, Ревус® Топ, Квадріс® Топ) або з контактними фунгіцидами.
Міравіс® — надійний засіб для запобігання резистентності до основних збудників грибкових хвороб завдяки використанню унікальної молекули АДЕПІДИН™, яка не має аналогів на ринку.






